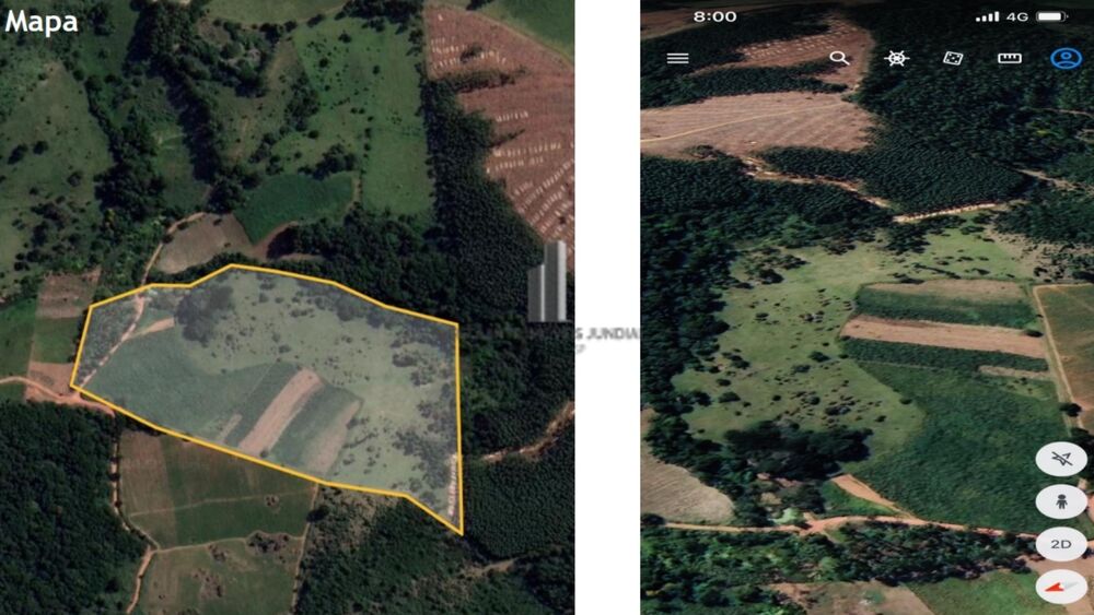
Sítio à venda, 72000m²

Tapiraí - SP

Código: CH0305CI
  • Venda: R$ 230.000

  • 72000m² Total

  • Área total do imóvel
  • 72000m² Útil

  • Área útil do imóvel
  • 1 Banheiros

  • Quantidade de banheiros do imóvel
Venda

R$ 230.000

Anunciante

ANDREA TRICARICO FERRACIN RAMOS

Telefone

(11) 97146-3452

Ao clicar em "Ver telefone", "Enviar mensagem" ou "WhatsApp", você confirma que concorda com nossos Termos de uso e Políticas de privacidade.


Descrição do imóvel

<b>SÍTIO EM TAPIRAÍ BAIRRO GARCIAS TAPIRAÍ SP VENDA - BELÍSSIMO! SÍTIO na cidade de TAPIRAÍ, Comarca de Piedade-SP.</b>

<b>SÍTIO EM TAPIRAÍ BAIRRO GARCIAS TAPIRAÍ SP VENDA-</b>

<b>SITIO A VENDA EM TAPIRAI–SP (7,2 HECTARES - 72 MIL M2) </b>

<b>Maravilhoso sitio a venda na região de Sorocaba, cidade de Tapiraí, pertence à Região do Vale do Ribeira no estado de São Paulo. Município situado em uma região cercada de Mata Atlântica, com rios de águas cristalinas e inúmeras cachoeiras. Tapiraí possui 80% de sua área tombada como Área de Proteção Ambiental (APA). Também foi declarada Patrimônio Natural da Humanidade pela UNESCO. Destaca-se na produção de gengibre, considerado um dos melhores do mundo. É dona de diversos atrativos ligados ao ecoturismo com enorme potencial turístico no estado. Durante o verão, os dias são quentes e as noites amenas. Já no inverno, o frio é rigoroso.</b>

<b>Sitio com uma inacreditável vista. Altitude de 1.200 metros do nível do mar, especial para construir uma linda casa de campo. Com mata nativa e um pequeno córrego e laguinho em sua divisa. Do total da área 70% agricultável e tratorável (ultimo cultivo gengibre), também ótimo para pecuária. Localizado a 150 km da cidade de São Paulo, a 9 minutos do Bairro do Turvo e 17 minutos da cidade de Tapiraí-SP, sendo apenas 1,2km de estrada de terra (estrada esta municipal municipal). Localização impecável. Vale a pena para quem quer investir e ter um lugar de natureza incrível. </b>

<b>AGENDE UMA VISITA AINDA HOJE NO SÍTIO EM TAPIRAÍ BAIRRO GARCIAS TAPIRAÍ SP VENDA</b>

<i>As informações estão sujeitas a alterações. Consulte o corretor responsável.</i>

Chave do anúncio: yqV6GuJokGgW2ezg


Características do imóvel

Responsável pelo anúncio

Nome do anunciante: ANDREA TRICARICO FERRACIN RAMOS

Telefone:

(11) 97146-3452

CRECI: 178376


Venda

R$ 230.000
Anunciante

ANDREA TRICARICO FERRACIN RAMOS

Telefone

(11) 97146-3452

Ao clicar em "Ver telefone", "Enviar mensagem" ou "WhatsApp", você confirma que concorda com nossos Termos de uso e Políticas de privacidade.

Visualização no mapa

Tapiraí - SP